Posto Auto In Vendita a Cadorago

Cadorago

7.000 EUR

Posto Auto In Vendita a Cadorago (Rif. postoauto cadorago)

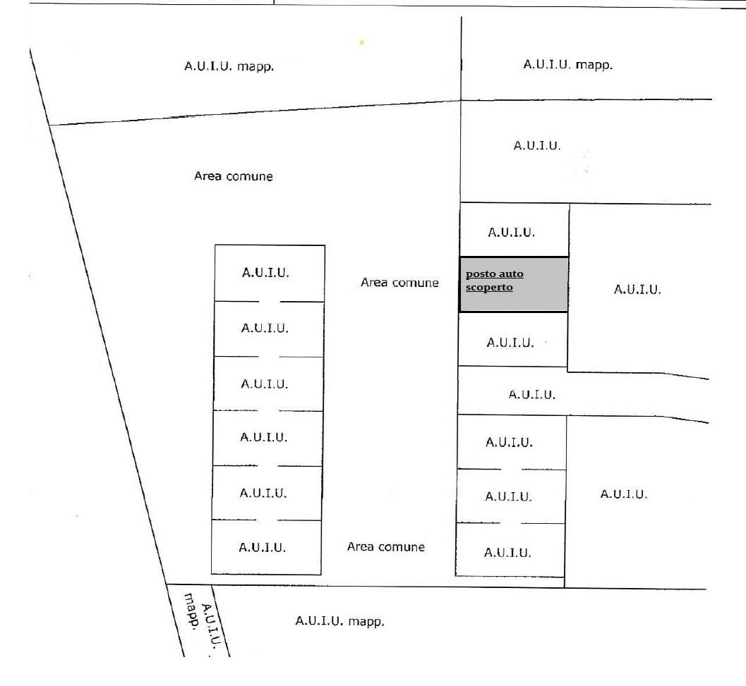
Cadorago : vendesi posto auto scoperto . Libero subito
Prezzo trattabile
Città:Cadorago
Prezzo:7.000 EUR
Classe:Non applicabile
Locali:1
Metri quadri:13

Mappa

via Ariosto - 22071 Cadorago CO
Cookie preference