ALSERIO LOCALITA' CARCANO

Alserio

227.000 EUR

ALSERIO LOCALITA' CARCANO (Rif. V001973)

ESCLUSIVO APPARTAMENTO DI RECENTE COSTRUZIONE – CLASSE A – ULTIMO PIANO
In palazzina moderna e di recente costruzione, proponiamo in vendita raffinato appartamento in classe energetica A, situato all’ultimo piano e disposto su due livelli, una soluzione ideale per chi desidera vivere in ambienti eleganti, efficienti e pronti da abitare.
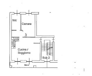
L’ingresso si apre su una zona giorno luminosa e accogliente, dove il soggiorno dialoga armoniosamente con la cucina, creando uno spazio perfetto per la vita quotidiana e per ricevere ospiti. Il piano è completato da bagno, camera matrimoniale e da un comodo balcone, ideale per momenti di relax all’aperto.
Una scala interna conduce al livello superiore, dove troviamo due ampi locali mansardati, estremamente versatili, perfetti come ulteriori camere da letto, studio o area hobby, oltre a un secondo bagno, rendendo l’abitazione funzionale e adatta a ogni esigenza abitativa.
L’appartamento si presenta in condizioni impeccabili, curato in ogni dettaglio e pronto per essere abitato, senza alcun intervento da prevedere.
A valorizzare ulteriormente la proprietà:
Locale accessorio al piano terra, finestrato, pavimentato e completo di attacchi per lavanderia, pratico e funzionale
Posto auto coperto, Box doppio, ideale anche per chi necessita di spazio aggiuntivo, Dotazioni moderne e comfort di alto livello:, Riscaldamento a pavimento, Cappotto termico, Zanzariere.
Sistema di ricambio d’aria con filtro fisso autonomo e macchina centralizzata, per un comfort abitativo costante e salubre.
Una proposta chiavi in mano, perfetta per chi cerca una casa moderna, efficiente e accogliente, in un contesto recente e ben curato. CLASSE A KWH 19,54 PER INFORMAZIONI O APPUNTAMENTI MONICA BIDOGGIA 3484205749
Città:Alserio
Prezzo:227.000 EUR
Classe:A (19,54)
Locali:4
Camere:3
Posti letto:5
Bagni:2
Balconi:1
Box:1
Posti auto:1
Metri quadri:120
Mq cantina:16
Mq Box:34
Stato Immobile:Ottimo
Grado:Signorile
Panorama:Vista Aperta
Orientamento:Est Nord Ovest
Lati Liberi:3
Tipo Soggiorno:Soggiorno
Tipo Cucina:Angolo Cottura
Riscaldamento:Conta Calorie
Tipo Riscaldam.:Pompa di Calore
Tipo Impianto:Pavimento
Fonte Energetica:Fotovoltaico
Acqua Calda:Centralizzata a Pannelli
Raffrescamento:Centralizzato
Infissi:Legno Doppio Vetro
Serramenti:Ottimo
Persiana:Persiana Metallo
Pavim. Giorno:Gres Porcellanato
Pavim. Notte:Gres Porcellanato
Pavim. Cucina:Gres Porcellanato
Pavim. Bagno:Gres Porcellanato
Cantina - Solaio:Cantina
Accesso Disabili:No
Accesso interno disabili:Parziale
Isolamento:Presente
Isolamento termico:Cappotto esterno
Isolamento acustico:Isolamento pavimento
Spessore cappotto (cm):12
VMC:Si
Accessori: Antifurto, Cancello Elettrico, Doppi Vetri, Impianto Fotovoltaico, Lavanderia, Pannelli Solari, Porta Blindata, Ripostiglio, Tavolini Esterni, Video Citofono, Zanzariere

Mappa

VIA MILANESE, 26 - 22040 Alserio CO
Cookie preference