CANTU', zona centrale, vendiamo MAGAZZINO

Cantù

190.000 EUR

CANTU', zona centrale, vendiamo MAGAZZINO (Rif. V000763)

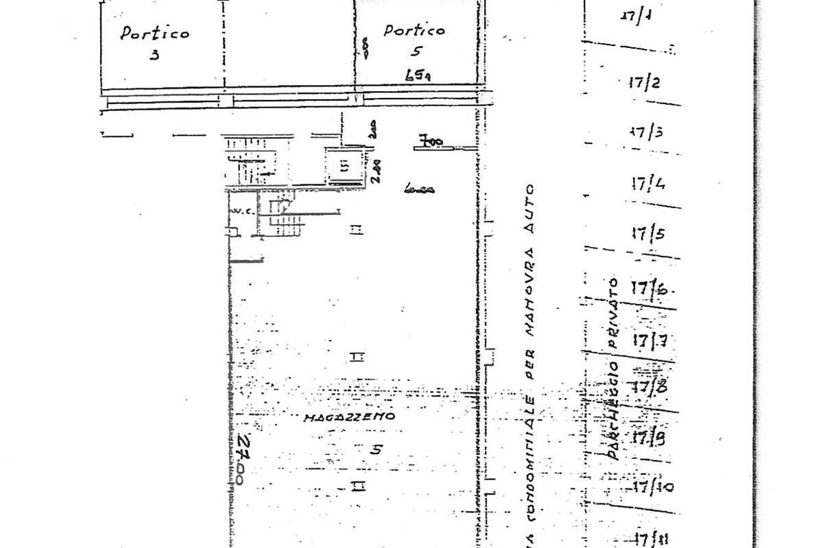
CANTU', in zona centrale, vendiamo MAGAZZINO di oltre 400 Mq con annessi tre posti auto coperti davanti all'ingresso e doppio accesso carraio.
Presenza di servizi igienici all'interno.

Richiesta € 190.000,00

Rif Giu Ro
Città:Cantù
Prezzo:190.000 EUR
Classe:Fase di valutazione
Locali:1
Metri quadri:400
Stato Immobile:Mediocre
Grado:Medio
Posizione:Centro
Lati Liberi:2
Pavimento:Ceramica
Destinazione:Commerciale
Accessori: Passaggio Automobilistico, Passaggio Pedonale
Cookie preference